Property Details
- Price
- $999,999
- Property Type
- Land
- Total Lot Size
- 20,569 SF
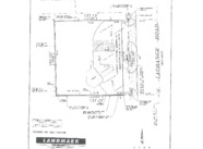
Description
For Sale, Ground lease, or Build-to-Suit opportunity. -/+20,550sf Prime Outlot Pad fronting Lagrange Rd across the street from Orland Square Shopping Mall. The lot dimensions are (150' x 137') There is 150ft frontage along La Grange Rd. The site has prime visibility from La Grange Road.
Map
Brokers

Neil Haleem
V. P. Business Development

Adam Haleem
Broker

