2+ Acre Commercial Pad Site with Full Infrastructure and Paved Parking

0 Southpoint Parkway | Fredericksburg, VA 22407

Negotiable

Lease Rate

Property Details

Lease Rate:Negotiable
Property Type:Land
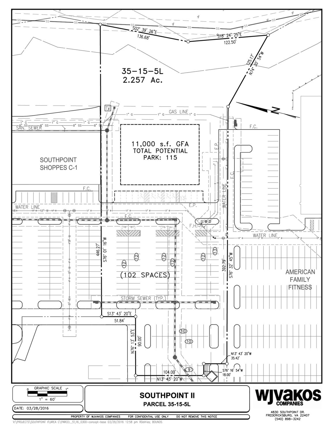
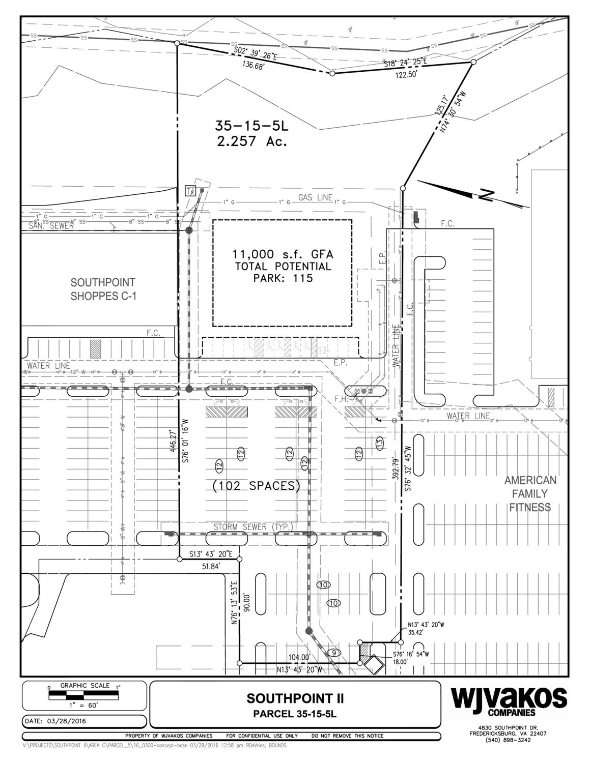
Lot Size:2.26 Acres

Property Description

2.26 acre shovel ready pad site available for lease or sale, located on busy Southpoint Parkway, immediately neighboring American Family Fitness. Site has existing infrastructure including curb and gutter, 102 paved parking spaces on-site, with cross access to neighboring parcels. Commercial (C-3) Zoning in Spotsylvania, the site can accommodate a 15,000 square foot building footprint. Signalized entry, easily accessed from Route 1 immediately off of I-95 exit 126.

Location Description

Centrally located shovel-ready pad site within the original phase of Southpoint II. Neighbored by American Family Fitness, shadow anchor to Wal-Mart Supercenter and Lowe's. Southpoint Parkway carries a combined 38,000 car daily traffic count, and serves as the main thoroughfare accessing 676 existing apartments (Southpoint Reserve at Stoney Creek, Abberly and Kingson at Southpoint). Also home to CarMax, Buffalo Wild Wings, Kickback Jack's, 7-Eleven, Chili's, Chick-fil-A, Starbucks, Wendy's, Longhorn Steakhouse and more. Conveniently located as the main pass through from Courthouse Road to Route 1 in Spotsylvania and directly accessed from I-95 exit 126, within 5 minutes of the under construction 450,000 square foot VA Hospital due for 2024 completion.

Highlights

  • 2.26 acre, Shovel-Ready Pad Site
  • Ample parking; ideal site for junior anchor/office building
  • Signalized Entrance, easily accessible from I-95, Route 1 and Courthouse Rd
  • Located amidst Wal-Mart, Lowe's and American Family Fitness anchored Southpoint
  • For Sale, Lease (Ground Lease/Build-to-Suit)

Map

Request More Info

We'll never share your email with anyone else.

Active

Name Space Type Space Size Lease Rate Lease Term
Southpoint II 2.26 AC Pad Site - 2.26 Acres Negotiable 120+
Southpoint II 2.26 AC Pad Site
Name Southpoint II 2.26 AC Pad Site
Space Type -
Space Size 2.26 Acres
Lease Rate Negotiable
Lease Term 120+
image-0
1 Miles 3 Miles 5 Miles
Total households 1,957 13,523 31,886
Total population 5,282 37,889 90,463
Population white 72.3% 73.0% 71.9%
Population black 15.7% 15.8% 17.3%
Population hispanic 10.6% 8.5% 9.2%
Population asian 4.5% 4.3% 3.2%
Population pacific islander 0.0% 0.2% 0.2%
Population american indian 0.0% 0.0% 0.3%
Population other 5.4% 3.9% 5.0%
Persons per household 2.7 2.8 2.8
Average household income $85,075 $86,332 $82,395
Average house value $334,513 $317,137 $313,974
Average age 33.6 35.1 34.5
Average age male 32.4 33.9 32.6
Average age female 34.9 36.2 35.9
2020 American Community Survey (ACS)